Министерство науки и высшего образования Российской Федерации
Федеральное государственное бюджетное научное учреждение
«Экспертно-аналитический центр»
Москва, ул. Талалихина, д. 33, стр. 4. Телефон: (495) 663-20-13

Дата публикации: 21 сентября 2020 г.

В Саудовской Аравии найдены следы миграционного пути из Африки в Евразию, которым 120000 лет

Археологи обнаружили самые ранние человеческие следы, когда-либо найденные на Аравийском полуострове. Древние следы, найденные в Саудовской Аравии, показывают, как люди могли следовать по озерам и рекам, чтобы мигрировать из Африки в Евразию 120 000 лет назад.


Ранее эксперты полагали, что люди передвигались по прибрежным маршрутам, однако последнее исследование показало, что это не обязательно так. Ученые предполагают, что люди могли следовать внутренними маршрутами и шли, ориентируясь на озера и течение рек.  

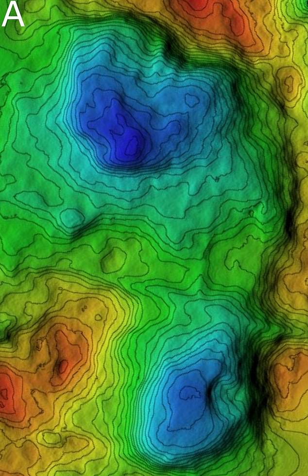
На этом изображении представлена ​​цифровая модель рельефа (ЦМР) рекламного места, на котором виден характерный след человека. 

Карта, показывающая относительные даты прибытия людей на разные континенты, включая Европу 45 000 лет назад. Все человечество зародилось в Африке и перебралось в Левант около 120000 лет назад.

Следы были найдены на севере Саудовской Аравии, в месте, исторически называемом Алатар. 

В пустыне Нефид наряду с 233 человеческих следов и окаменелостей, обнаружено 369 следов животных, из них 44 следа слона и 107 верблюжьих, что указывает на то, что озеро было популярным водопоем. 

«Присутствие крупных животных, таких как слоны и бегемоты, вместе с открытыми лугами и большими водными ресурсами, возможно, сделало северную Аравию особенно привлекательным местом для людей, перемещающихся между Африкой и Евразией», - говорит старший автор исследования Майкл Петраглиа (Michael Petraglia) из Института Макса Планка.

Сегодня Аравийский полуостров характеризуется обширными засушливыми пустынями, которые были бы неприветливыми для первых людей и животных, на которых они охотились. Но исследования последнего десятилетия показали, что так было не всегда и когда-то здесь была вода и много зелени. 

Профессор Ян Кэнди (Ian Candy) из Королевского колледжа Холлуэйя, Лондона, соавтор исследования, говорит, что этот период времени является «важным моментом в предыстории человечества». 

«Изменения окружающей среды во время последнего межледниковья позволили бы людям и животным рассредоточиться по пустынным регионам, которые обычно выступают в качестве основных барьеров в менее влажные периоды, такие как сегодня», - добавляет он.

«Эти данные свидетельствуют о перемещениях людей за пределы Африки во время последнего межледниковья, распространившегося на Северную Аравию, что подчеркивает важность этого региона для изучения предыстории человека».

Рядом с человеческими следами 369 следов животных, в том числе 44 слона (слева) и 107 верблюжьих (справа) следов, что указывает на то, что озеро было популярным водопоем.

На этой фотографии показаны окаменелости животных, выветривающиеся с поверхности древнего озера Алатар. В общей сложности на месте были обнаружены 233 окаменелости, а также следы 

Из сотен следов, обнаруженных в пустыне, семь принадлежат гомининам.

Четыре из них, как уверенно утверждают исследователи, произошли от небольшой группы из двух или трех человек, путешествующих вместе. Исследователи утверждают, что следы принадлежат Homo sapiens, а не другим подобным видам, таким как неандертальцы. 

Исследование опубликовано в Science Advances.

Источник: dailymail.co.uk

← предыдущая новость следующая новость →
Популярные издания ФГБНУ «Аналитический центр»
Издания 2019 года

Гасанбекова Л. А. Оценка эффективности финансово-хозяйственной деятельности государственных унитарных предприятий

Практическое пособие / Л. А. Гасанбекова, В. И. Никитина, Б. В. Сошников; под общ. науч. ред. канд. экон. наук О. А. Коробко. – М.: ФГБНУ «Аналитический центр» Минобрнауки России, 2019. – 49 с. (ISBN 978-5-904670-54-2).

Доступна электронная версия печатного издания.

Издания 2018 года

Вопросы контроля хозяйственной деятельности и финансового аудита, национальной безопасности, системного анализа и управления

Сборник материалов III Всеросс. науч.-практ. конф., г. Москва, 29 декабря 2017. – М.: ФГБНУ «Аналитический центр» Минобрнауки России, 2018. – 200 с. (ISBN 978-5-904670-53-5).

Доступна электронная версия печатного издания.

открыть полный список изданий Центра →

Документ был изменён 11.11.2019 в 10:50.
Поиск данных
об аттестации
педагогических работников
Издания Центра